Обяви 0 За нас Контакти
Продава КЪЩА
област Габрово, с. Геша
99 000 €
193 627.17 лв.

(220 €, 430.28 лв./m2)
Цената е с включено ДДС
История на цената
Коригирана в 10:57 на 28 април, 2026 год.
Обявата е посетена 464 пъти.
Площ:
450 m2
Двор:
1225 m2
Строителство:
Тухла, Въведен в експлоатация 1960 - 1969 г.

Описание на имота:


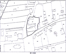
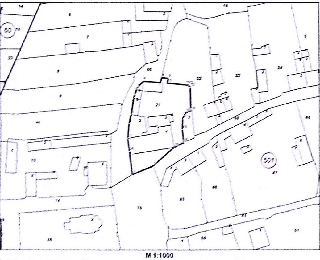
поземлен имот, находящ се в с.Геша, община Дряново, област Габрово, представляващ:застроено дворно място, с площ от 1 225 кв.м. /хиляда двеста двадесет и пет кв.м./, сграда Бивш дом за социални грижи с РЗП- 792 кв.м., с три броя складове със застроена площ от 90 кв.м. и навес 60 кв.м., находящи се в имот с индентификатор 14859.501.21 по кадастралната карта на с.Геша, община Дряново
Особености
Тухла
За контакт:
0878236311
Агенция:
ХОУМС ИН БЪЛГРИЯ БГ ООД
02/8220065
Медал за прослужено време
В imot.bg от 2014 г.
homesinbg.imot.bg
Адрес:
област Велико Търново, гр. Велико Търново, гр.София ,бул. 'Сливница'127 офис сграда 'Уест Парк център' ет.3 офис 22
ИЗПРАТИ ЗАПИТВАНЕ
ИЗПРАТИ ЗАПИТВАНЕТО

Продава КЪЩА
област Габрово, с. Геша
Обява: 1j177244886942798

99 000 €
193 627.17 лв.
История на цената
(220 €, 430.28 лв./m2)

Цената е с включено ДДС
ЗАПАЗИ ОБЯВАТА

Местоположение: област Габрово, с. Геша